Lądowisko dla śmigłowców w Januszewicach?
Wszystko wskazuje, że w niedługim czasie w Januszewicach powstanie lądowisko dla śmigłowców ratunkowych, które niezbędne jest do funkcjonowania Szpitalnego Oddziału Ratunkowego funkcjonującego przy Szpitalu Powiatowym w Opocznie.
28 kwietnia 2014 roku podczas 34 sesji Rady Powiatu przyjęto uchwałę w sprawie nabycia nieruchomości gruntowej, której przeznaczeniem będzie wybudowanie lądowiska dla śmigłowców ratunkowych wraz z infrastrukturą.
Uchwałą tą Rada Powiatu wyraziła zgodę na nieodpłatne nabycie na rzecz Powiatu działki o powierzchni 4680m2. Działka wchodzi w skład Zasobu Własności Rolnej Skarbu Państwa, którym dysponuje Agencja Nieruchomości Rolnych.
Przy Szpitalu Powiatowym w Opocznie funkcjonuje Szpitalny Oddział Ratunkowy. Lądowisko dla śmigłowców ratunkowych jest niezbędnym elementem dla istnienia SOR, o czym mówi ustawa z 8 września 2006 r. o Państwowym Ratownictwie Medycznym (Dz. U. Nr 191, poz.1410, z póżn. zm.) oraz Rozporządzenie Ministra Zdrowia z dnia 3 listopada 2011 r. w sprawie szpitalnego oddziału ratunkowego (Dz. U. 2013.757 ze zm.)
W uzasadnieniu uchwały ponadto czytamy:
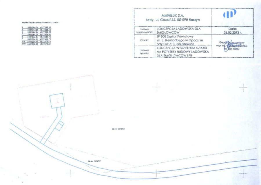
"Nabycie od Agencji Nieruchomości Rolnych w Łodzi części działki oznaczonej numerem 595/33 położonej w Januszewicach gm. Opoczno (oznaczonej linią czerwoną na załączniku graficznym - Koncepcja Lądowiska Dla Śmigłowców) stało się niezbędne, ponieważ jest to jedyna możliwa do pozyskania działka, na której może być zlokalizowane całodobowe lądowisko dla śmigłowców ratunkowych wraz z infrastrukturą, spełniające wszystkie wymogi określone w Rozporządzeniu Ministra Zdrowia z dnia 3 listopada 2011r. w sprawie szpitalnego oddziału ratunkowego, w tym czas dojazdu poniżej 5 minut ze Szpitalnego Oddziału Ratunkowego do lądowiska."
Lokalizacja lądowiska (zaznaczone czerwoną linią):
- Szczegóły
- Mateusz
- Kategoria: Gospodarka i finanse
- Opublikowano: - Kwi 28, 2014
- Odsłony: 3027


